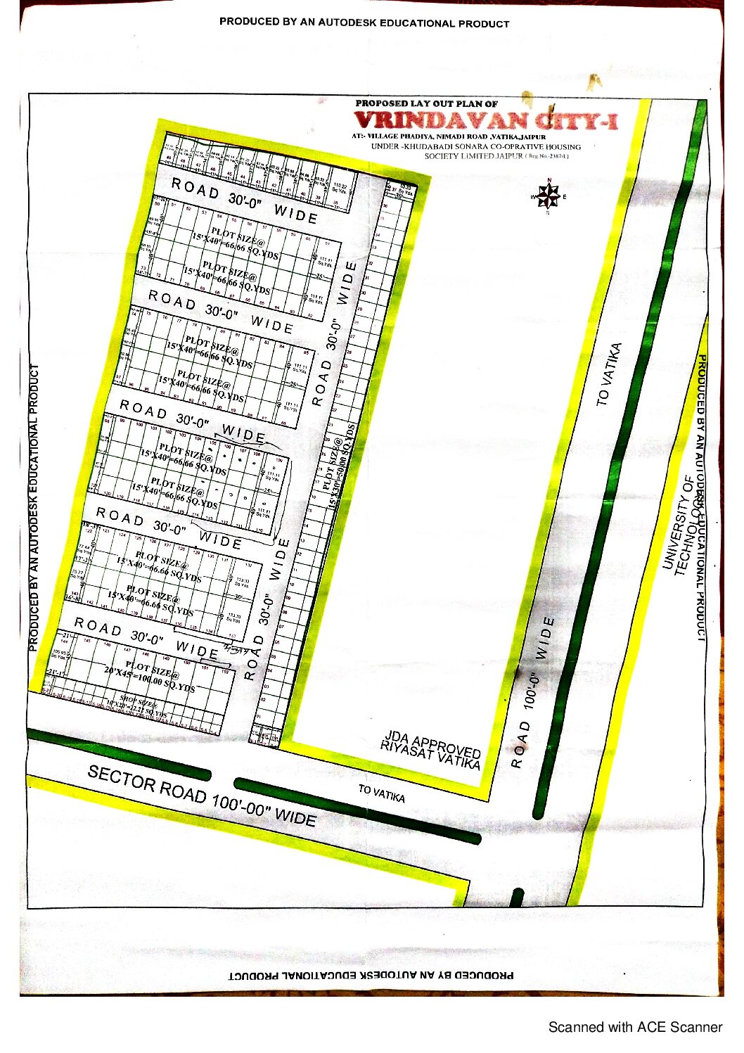
Vrindavan City 1, Pahadiya, Nimdi Road, Vatika, Jaipur

5,000₹ / Per SQ. Yard
333 Property ID

Description

🌆 Vrindavan City-1 – Society Patta Residential Scheme

Location: Nimadi ki Dhani Road, Vatika, Sanganer, Jaipur
Developed by: Khudabadi Sonara Co-operative Housing Society Ltd., Jaipur
Registration No.: 2387/L

 

Google Location: Click Here

 

🏡 Overview

Vrindavan City-1  is a meticulously planned residential colony spread across 6 acres, offering over 150 residential plots. The layout is organized with a mix of 30 ft and proposed 100 ft sector roads for seamless connectivity.

🌟 Key Features

  • Society Patta 
  • Total Area: 4 Beegha Scheme
  • Total Plots: 150+ (Approx.)
  • Blocks: Main
  • Road Widths: 30 ft and proposed 100 ft sector road
  • Green Parks:
  • School Area Reserved:

📍 Nearby Landmarks & Connectivity

🏞️ Surroundings

Schools, Colleges, Engineering College, JDA Harit Vihar Scheme, Hospital, Bus Stand

🔖 Labels

Vrindavan City-1, Vatika Road plots, Khudabadi Sonara Society Patta Plots, Plots for investment

 

वृंदावन सिटी-1 – सोसायटी पट्टा आवासीय योजना

स्थान: निमड़ी की ढाणी रोड, वाटिका, सांगानेर, जयपुर
विकसितकर्ता: खुदाबादी सोनारा सहकारी आवासीय समिति लिमिटेड, जयपुर
पंजीकरण संख्या: 2387/L

Google Location: Click Here

 

🏡 परिचय

वृंदावन सिटी-1 एक सुव्यवस्थित आवासीय कॉलोनी है जो लगभग 6 एकड़ क्षेत्र में फैली हुई है। इसमें लगभग 150+ आवासीय प्लॉट्स शामिल हैं। कॉलोनी का लेआउट 30 फीट चौड़ी सड़कों और प्रस्तावित 100 फीट सेक्टर रोड के साथ योजनाबद्ध है ताकि सुगम आवागमन सुनिश्चित हो सके।

 

🌟 मुख्य विशेषताएं

  • सोसायटी पट्टा
  • कुल क्षेत्रफल: 4 बीघा योजना
  • कुल प्लॉट्स: लगभग 150+
  • ब्लॉक्स: मुख्य
  • सड़क चौड़ाई: 30 फीट एवं प्रस्तावित 100 फीट सेक्टर रोड
  • ग्रीन पार्क्स:
  • विद्यालय हेतु आरक्षित क्षेत्र:

 

📍 निकटवर्ती स्थान व कनेक्टिविटी

  • बस स्टैंड – लगभग 1 किमी
  • रेलवे स्टेशन – शिवदासपुरा ~5 किमी, सांगानेर ~16 किमी
  • जयपुर अंतरराष्ट्रीय हवाई अड्डा – ~20 किमी
  • रिंग रोड – ~4 किमी
  • अस्पताल – ~1.5 किमी
  • विद्यालय – ~500 मीटर
  • पार्क – कॉलोनी के अंदर

 

🏞️ आसपास की सुविधाएं

विद्यालय, कॉलेज, इंजीनियरिंग कॉलेज, जेडीए हरित विहार योजना, अस्पताल, बस स्टैंड

 

क्या आप चाहेंगे कि मैं इसे एक स्टाइल्ड ब्रोशर या पीडीएफ लेआउट में भी तैयार कर दूँ ताकि इसे निवेशकों या ग्राहकों के साथ साझा करना आसान हो?

Address

  • Address Nimdi Road, Vatika, Sanganer, Jaipur
  • Country India
  • Province/State
  • City/Town
Open on Google Maps

Overview

Contact

www.zamindekho.com

Property Agent

+91-9784848248
Other Properties